The islands are nothing but a natural beauty, a paradise in Papua, above and under the water! I often needed to look twice to check if it’s real; it’s just insane, so sick, incredible and beyond belief!
The spectacle was already starting when flying in from Jakarta to the capital of the Maluku island chain named Ambon, big cloud formations and the sun rose bringing light to the new day in almost all spectral colors. From Ambon the next flight took me over so many small islands, sometimes even just as big as a house, until the plane came down in Sorong the hub for the Raja Ampat islands. All further travels from this point – by boat. In Waisai I met Githa my local contact who put me forward for a nice homestay, that’s the cheapest option for accommodation over here if you don’t want to stay in a resort charging 200 euros a night. Githa also co owns Arborek Dive Shop together with her husband Marcel.
Round about a hundred people living in the community and it takes 20 minutes to walk around the island, which is about the size of 7 football fields and has everything basic you’re looking for: a well with salty water, not as salty as the sea though, lovely bucket shower – living in paradise with the least effort ever, so good…small shops to buy juice, candy or a beer, sunsets and sunrises right at the doorstep, friendly locals & lovely children jumping around asking for your name, enough shade to beat the midday sun, probably the best seafood ever, lovely beaches and an incredible coral reef, made for snorkeling (In an afternoon session I even saw 2 black tip reef sharks and a small marble ray beside the usual suspects and the wonderful coral) – I love it! As the Batak at Lake Toba, Sunday is a pretty important religious day for the community. No one works and half the island in best clothes, holding the songbook or the bible and going to church, singing accompanied by guitar.
This is how a sunset on the island feels…in time-lapse 😉
https://youtu.be/9DxvNnYGl_Y
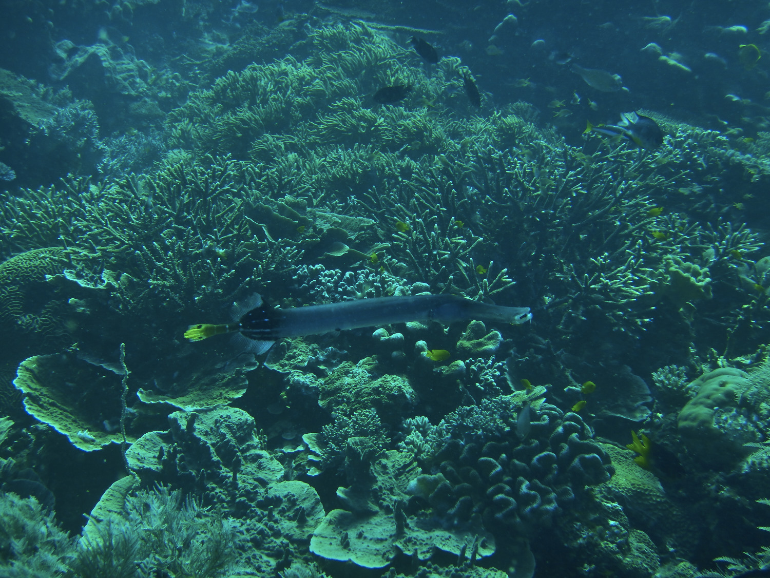
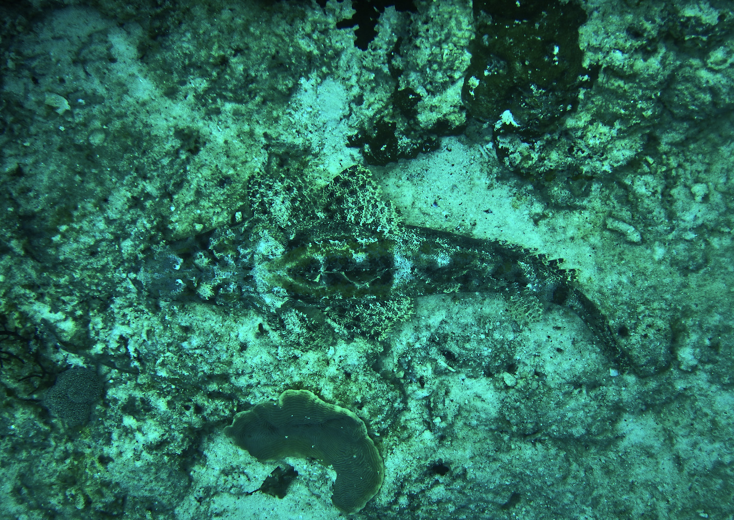
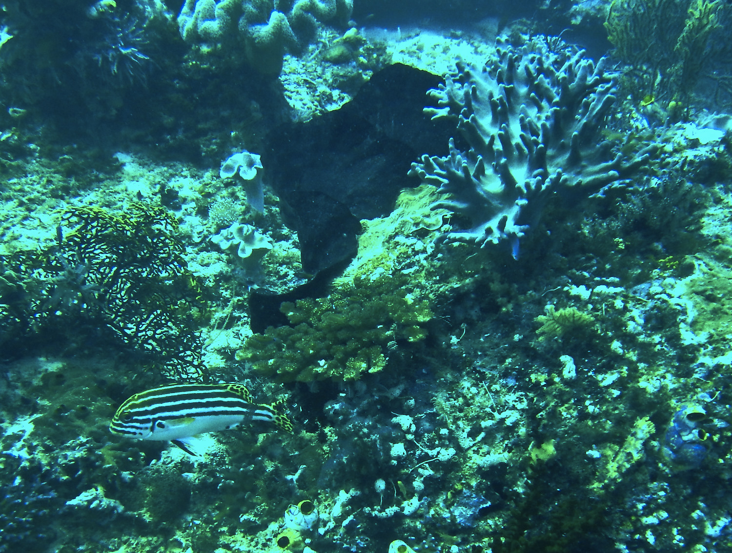
From Arborek I went diving for 2 days with Marcel, felt sweet just going down with one buddy who’s also the guide. The first time we got in the water and it was just insane! Fish everywhere, visibility of 30 meters, coral gardens until get no, colorful as spring flowers so many different species of soft and hard coral living wherever they could fit, just one square meter had so much living organisms I saw in the Andaman’s within one dive! Unbelievable! Everything here is on big scale! We saw turtles, massive schools of different fish, black tip and white tips reef sharks, multiple manta rays getting cleaned in front of our eyes, the biggest one measuring 5 meters! Magnificent animals! Also eels, lion fish, stone fish, scorpion fish, frog fish, marble rays and dolphins. Fuck yeah it’s been a hell of a ride! I gathered the best clips and made a small movie, go check it out…
With Githa and our always smiling boatman Baba Saurab we went to Piaynemo the other day, another natural phenomenon of small rocks covered with plants surrounded by clear emerald blue waters – it’s one of those spots in catalogs and we went there early to beat the heat and the crowds, I could even squeeze in a meditation before the first people came up and inhale the place properly.
My spirit rose again, still can’t believe what I saw during those wonderful days – looking at the pictures makes the memories last but the feeling will stay in my heart…
Before I forget:
- The music in the videos is from a friend, check out his sound cloud page
https://soundcloud.com/m-inc-to - The island I stayed has a website, go check it out
http://arborek-rajaampat.com
And now go for the amazing pics!!!




















































nice one
Amazing pics
Sunrise and sunsets are probably the best-est of times to explore Hampi. It looks like a veritable lost world and…
Reblogged this on konviktion.